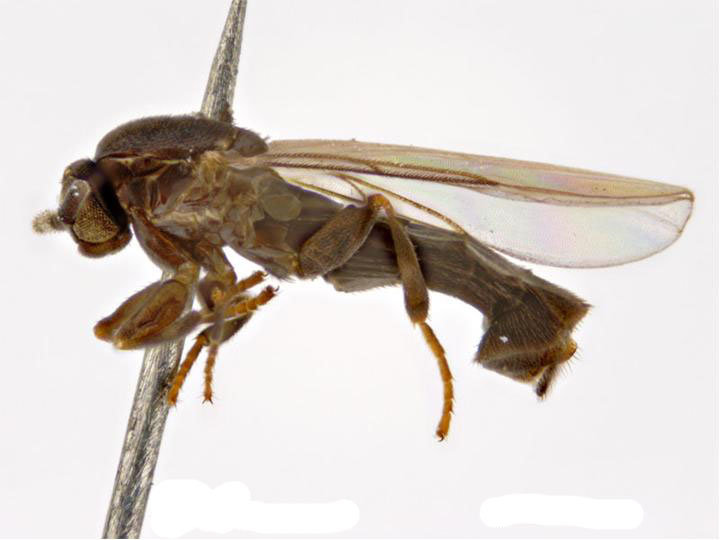
Species

Coboldia fuscipes

[ Opisthokonta | Metazoa | Eumetazoa | . . .
. . . | Scatopsoidea | Scatopsidae | Coboldia ]

Coboldia_fuscipes Picture Source
Taxonomy:Eukaryota | Opisthokonta | Metazoa | Eumetazoa | Bilateria | Protostomia | Ecdysozoa | Panarthropoda | Arthropoda | Mandibulata | Pancrustacea | Hexapoda | Insecta | Dicondylia | Pterygota | Neoptera | Holometabola | Diptera | Nematocera | Psychodomorpha | Scatopsoidea | Scatopsidae | Coboldia
Ncbi Go to NCBI Taxonomy (170625)
Eol Encyclopedia of life
Wiki Wikipedia
Publication:
(2015)
PLoS Biol 13, e1002078. Down

Genome files


National Center for Biotechnology Information National Center for Biotechnology Information
Type Version Date Compl Cov GC % Size (Mbp) Contigs CGR Illegal Chars N50 (kbp) Acc File Seq info
Contigs v 1.0.0 2015-01-07 Dna_compl 53 30.0 98.5 1732Info - 242 Down Chromosome Comment

diArk 3.0 Content Info

Species:6488
References:170
Projects:9057
gen DNA Projects:5222
EST/cDNA Projects:851
Publications:2417
link to cymobase
link to scipio
link to www.motorprotein.de
MPI for biophysical chemistry

Facebook_grey
Twitter_grey
Googleplus_grey
2 Clicks for more privacy: You have to click the top icon to enable the Facebook Like, the Twitter, or the Google+ button.