| Encephalitozoon cuniculi EcI | 
  
  
  
    
      [ Opisthokonta | Fungi | Fungi incertae sedis | . . .
 . . . | Unikaryonidae | Encephalitozoon | Encephalitozoon cuniculi ]
    
  
  
  
  
  
    
      
        
|  Courtesy of P. Keeling, B. Koudela and Nature | 
          
            
  
    
      
        
  
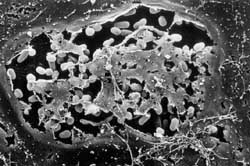
      | Taxonomy: | Eukaryota | Opisthokonta | Fungi | Fungi incertae sedis | Microsporidia | Apansporoblastina | Unikaryonidae | Encephalitozoon | Encephalitozoon cuniculi |  | Comment: | Encephalitozoon cuniculi is a single-celled, intracellular parasite that belongs to the microsporidia group of organisms. It infects a range of mammals; in humans, it causes a variety of conditions affecting the nervous system and respiratory and digestive tracts. Like all microsporidia, Encephalitozoon cuniculi lacks mitochondria. |  |  |  |   | Go to NCBI Taxonomy (986730) |  
    |  |  |  | Encyclopedia of life |  |  |  |  | Wikipedia |  
          
  
    
      | Publication: | 
            
  
    
      
        Pombert JF,  Xu J,  Smith DR et. al.  
      
			   (2013 )
     Eukaryot Cell 12, 503-511.
       |  | 
  
      
    
    
    
  
    
      
        	
  
    
  
  
    
  
    
      | Encephalitozoon cuniculi EcII | 
  
  
  
    
      [ Opisthokonta | Fungi | Fungi incertae sedis | . . .
 . . . | Unikaryonidae | Encephalitozoon | Encephalitozoon cuniculi ]
    
  
  
  
  
  
    
      
        
|  Courtesy of P. Keeling, B. Koudela and Nature | 
          
            
  
    
      
        
  
      | Taxonomy: | Eukaryota | Opisthokonta | Fungi | Fungi incertae sedis | Microsporidia | Apansporoblastina | Unikaryonidae | Encephalitozoon | Encephalitozoon cuniculi |  | Comment: | Encephalitozoon cuniculi is a single-celled, intracellular parasite that belongs to the microsporidia group of organisms. It infects a range of mammals; in humans, it causes a variety of conditions affecting the nervous system and respiratory and digestive tracts. Like all microsporidia, Encephalitozoon cuniculi lacks mitochondria. |  |  |  |   | Go to NCBI Taxonomy (989654) |  
    |  |  |  | Encyclopedia of life |  |  |  |  | Wikipedia |  
          
  
    
      | Publication: | 
            
  
    
      
        Pombert JF,  Xu J,  Smith DR et. al.  
      
			   (2013 )
     Eukaryot Cell 12, 503-511.
       |  | 
  
      
    
    
    
  
    
      
        	
  
    
  
  
    
  
    
      | Encephalitozoon cuniculi EcIII | 
  
  
  
    
      [ Opisthokonta | Fungi | Fungi incertae sedis | . . .
 . . . | Unikaryonidae | Encephalitozoon | Encephalitozoon cuniculi ]
    
  
  
  
  
  
    
      
        
|  Courtesy of P. Keeling, B. Koudela and Nature | 
          
            
  
    
      
        
  
      | Taxonomy: | Eukaryota | Opisthokonta | Fungi | Fungi incertae sedis | Microsporidia | Apansporoblastina | Unikaryonidae | Encephalitozoon | Encephalitozoon cuniculi |  | Comment: | Encephalitozoon cuniculi is a single-celled, intracellular parasite that belongs to the microsporidia group of organisms. It infects a range of mammals; in humans, it causes a variety of conditions affecting the nervous system and respiratory and digestive tracts. Like all microsporidia, Encephalitozoon cuniculi lacks mitochondria. |  |  |  |   | Go to NCBI Taxonomy (989655) |  
    |  |  |  | Encyclopedia of life |  |  |  |  | Wikipedia |  
          
  
    
      | Publication: | 
            
  
    
      
        Pombert JF,  Xu J,  Smith DR et. al.  
      
			   (2013 )
     Eukaryot Cell 12, 503-511.
       |  |