|
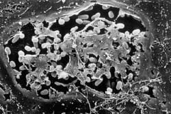
Encephalitozoon cuniculi EcII
|
[ Opisthokonta | Fungi | Fungi incertae sedis | . . .
. . . | Unikaryonidae | Encephalitozoon | Encephalitozoon cuniculi ]
Courtesy of P. Keeling, B. Koudela and Nature
|
| Taxonomy: | Eukaryota | Opisthokonta | Fungi | Fungi incertae sedis | Microsporidia | Apansporoblastina | Unikaryonidae | Encephalitozoon | Encephalitozoon cuniculi |
| Comment: | Encephalitozoon cuniculi is a single-celled, intracellular parasite that belongs to the microsporidia group of organisms. It infects a range of mammals; in humans, it causes a variety of conditions affecting the nervous system and respiratory and digestive tracts. Like all microsporidia, Encephalitozoon cuniculi lacks mitochondria. |
|
|
|
Go to NCBI Taxonomy (989654) |
|
|
|  |
Encyclopedia of life |
|
|  |
Wikipedia |
| Publication: |
Pombert JF, Xu J, Smith DR et. al. 
( 2013)
Eukaryot Cell 12, 503-511.
|
|
|
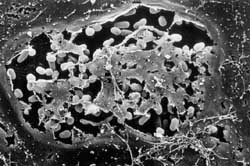
Encephalitozoon cuniculi EcIII
|
[ Opisthokonta | Fungi | Fungi incertae sedis | . . .
. . . | Unikaryonidae | Encephalitozoon | Encephalitozoon cuniculi ]
Courtesy of P. Keeling, B. Koudela and Nature
|
| Taxonomy: | Eukaryota | Opisthokonta | Fungi | Fungi incertae sedis | Microsporidia | Apansporoblastina | Unikaryonidae | Encephalitozoon | Encephalitozoon cuniculi |
| Comment: | Encephalitozoon cuniculi is a single-celled, intracellular parasite that belongs to the microsporidia group of organisms. It infects a range of mammals; in humans, it causes a variety of conditions affecting the nervous system and respiratory and digestive tracts. Like all microsporidia, Encephalitozoon cuniculi lacks mitochondria. |
|
|
|
Go to NCBI Taxonomy (989655) |
|
|
|  |
Encyclopedia of life |
|
|  |
Wikipedia |
| Publication: |
Pombert JF, Xu J, Smith DR et. al. 
( 2013)
Eukaryot Cell 12, 503-511.
|
|