|
Encephalitozoon cuniculi GB-M1
|
[ Opisthokonta | Fungi | Fungi incertae sedis | . . .
. . . | Unikaryonidae | Encephalitozoon | Encephalitozoon cuniculi ]
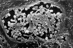
Courtesy of P. Keeling, B. Koudela and Nature
|
| Taxonomy: | Eukaryota | Opisthokonta | Fungi | Fungi incertae sedis | Microsporidia | Apansporoblastina | Unikaryonidae | Encephalitozoon | Encephalitozoon cuniculi |
| Comment: | Encephalitozoon cuniculi is a single-celled, intracellular parasite that belongs to the microsporidia group of organisms. It infects a range of mammals; in humans, it causes a variety of conditions affecting the nervous system and respiratory and digestive tracts. Like all microsporidia, Encephalitozoon cuniculi lacks mitochondria. |
|
|
|
Go to NCBI Taxonomy (284813) |
|
|
|  |
Encyclopedia of life |
|
|  |
Wikipedia |
| Publication: |
Katinka MD, Duprat S, Cornillot E et. al. 
( 2001)
Nature 414, 450-3.
|
Genome files
|