[ Opisthokonta | Metazoa | Eumetazoa | . . .
. . . | Phlaeothripidae | Phlaeothripinae | Gynaikothrips ]
Picture Source
|
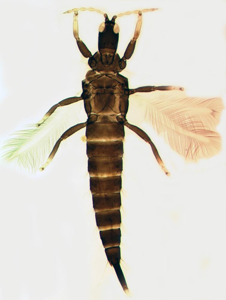
| Taxonomy: | Eukaryota | Opisthokonta | Metazoa | Eumetazoa | Bilateria | Protostomia | Ecdysozoa | Panarthropoda | Arthropoda | Mandibulata | Pancrustacea | Hexapoda | Insecta | Dicondylia | Pterygota | Neoptera | Paraneoptera | Thysanoptera | Tubulifera | Phlaeothripoidea | Phlaeothripidae | Phlaeothripinae | Gynaikothrips |
|
|
|
Go to NCBI Taxonomy (59752) |
|
|
|  |
Encyclopedia of life |
|
|  |
Wikipedia |
| Publication: |
Misof B, Liu S, Meusemann K et. al. 
( 2014)
Science 346, 763-767.
|
Genome files
|